Por: Cortesía

Nacional

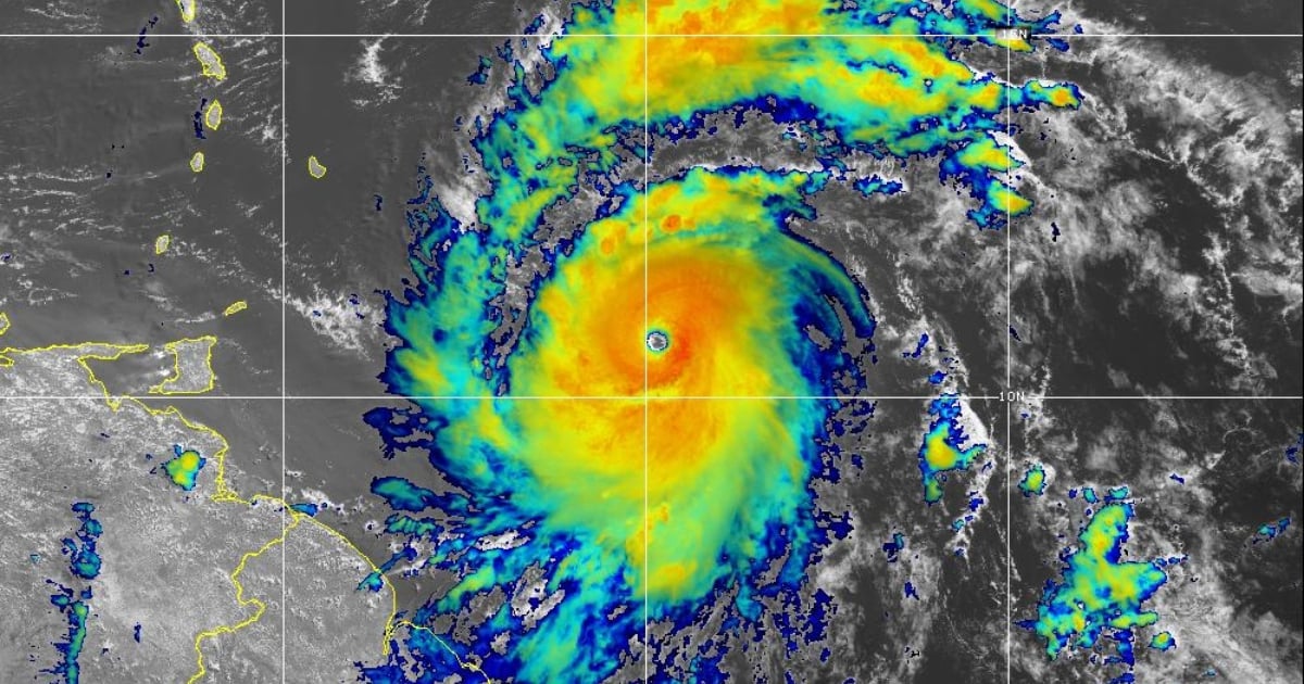
Huracán “Berly” sube a categoría 4

La gobernadora de Quintana Roo, Mara Lezama aseguró que “hasta el momento no representa peligro para el Caribe mexicano”.

El huracán “Beryl”, que se había debilitado a categoría 3, volvió a subir a 4 en una escala de cinco niveles, con vientos máximos sostenidos que superan los 193 kilómetros por ahora, con algunas ráfagas más fuertes, a unos 180 kilómetros al sureste de Barbados, informó el Centro Nacional de Huracanes (CNH) de los Estados Unidos.

La gobernadora de Quintana Roo, Mara Lezama aseguró que “hasta el momento no representa peligro para el Caribe mexicano”.

Según el último reporte del Servicio Meteorológico Nacional (06:50 am) el centro de “Beryl” se localiza a 100 km al este de Granada y a 2,945 km al este-sureste de Cancún, Q. Roo. Este presenta vientos máximos sostenidos de 215 km/h, rachas de 260 km/h y desplazamiento hacia el oeste-noroeste a 31 km/h.

Además, Lezama advirtió que es primordial que los mexicanos se mantengan en alerta e informados a través de medios oficiales.

Según datos del domingo del CNH, ha sido un comienzo inusualmente feroz para la temporada de huracanes del Atlántico de este año.

Mientras tanto, el primer ministro de San Vicente y las Granadinas, Ralph Gonsalves, dijo que esperaba un desastre natural que podría durar días, por lo que los lugareños cerraron tiendas, se abastecieron de alimentos y llenaron sus autos con gasolina a medida que se acercaba la tormenta.

“Probablemente traería vientos catastróficos y marejadas ciclónicas a primera hora del martes en las islas de Barlovento”, dijo.

El CNH aconsejó a las personas en la trayectoria de la tormenta que presten atención a los consejos de las autoridades sobre evacuaciones y preparación.

“Se espera que Beryl siga siendo un gran huracán extremadamente peligroso a medida que su núcleo avanza a través de las Islas de Barlovento hacia el Caribe oriental”, advirtió el CNH.