Por: Cortesía

Nacional

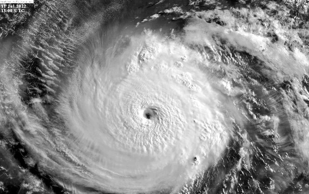
Huracán ‘Darby’ alcanza la categoría 4; esto sabemos

México reportó este lunes la formación del huracán Darby, que evolucionó rápidamente de categoría 1 a 4 en la escala Saffir Simpson, aunque no representa peligro para el territorio nacional, según el Servicio Meteorológico Nacional (SMN).

El SMN precisó que a las 16:00 horas Darby se localizaba a 1,830 kilómetros al sur-suroeste de Cabo San Lucas, Baja California Sur, y se desplazaba al oeste a 24 kilómetros por hora.

El fenómeno tiene vientos máximos sostenidos de 220 kilómetros por hora, así como rachas de 270 kilómetros por hora.

“No representa peligro para el territorio nacional”, puntualizó.

Dijo que aunque el meteoro continúa “intensificándose rápidamente”, sigue alejándose de las costas mexicanas.

Darby llega después de Celia, Blas y Bonnie, los tres sin afectaciones, y del huracán Agatha, el primer ciclón de la temporada 2022 del Pacífico, que impactó el 30 de mayo como huracán categoría 2 en las costas del estado de Oaxaca, una de las zonas más pobres del país, donde dejó nueve muertos y varios desaparecidos.

A mediados de mayo, las autoridades mexicanas informaron que prevén la formación de hasta 40 ciclones con nombre para 2022, lo que calificaron como una “temporada activa”, y pronosticaron que del total de ciclones tropicales generados, tanto en el Atlántico como en el Pacífico, al menos cinco impacten al país.

Se mantendrán lluvias

El SMN pronosticó también que este lunes seguirán las lluvias en gran parte del país, pues se registrarán precipitaciones muy fuertes en Chiapas, Chihuahua, Durango, Estado de México, Guerrero, Jalisco, Michoacán, Morelos, Nayarit, Oaxaca, Puebla Sinaloa y Sonora.

Asimismo, habrá lluvias fuertes en Campeche, Ciudad de México, Colima, Quintana Roo, Tlaxcala y Yucatán, además de chubascos en Guanajuato, Hidalgo, Tabasco, Veracruz y Zacatecas y lluvias aisladas en Aguascalientes, Coahuila, Nuevo León, Querétaro, San Luis Potosí y Tamaulipas.

El organismo alertó que las lluvias podrían acompañarse de descargas eléctricas, vientos fuertes y caída de granizo.

Temas relacionados: